Hurricane Fred veers off. Why the US has been spared so far.
Loading...
| Atlanta
The hurricane season may be dead in the water.
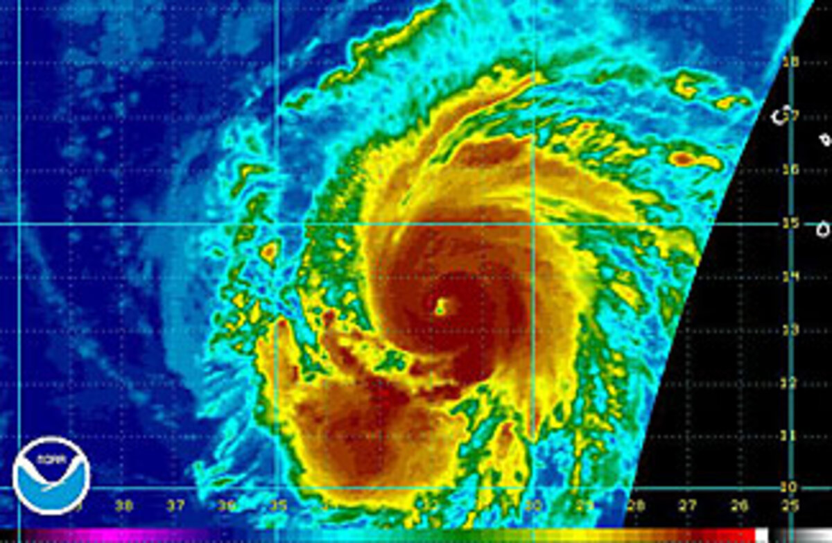
Hurricane Fred 鈥 the second hurricane and fifth named storm of the 2009 Atlantic storm season 鈥 grew into one of the strongest storms ever in the east Atlantic on Wednesday, but is now veering off toward the open north Atlantic where it's likely to soon dissipate.
Despite favorable hurricane conditions off the African coast, a surprise El Ni帽o effect in the Pacific is cutting down oncoming storms from the East, forecasters say.
"We're getting these hurricane seedlings that are trying to make it across Atlantic 鈥 but they're getting annihilated" by El Ni帽o-spawned westerlies in the upper atmosphere, says Keith Blackwell, a storm forecaster at University of South Alabama's Coastal Weather Research Center in Mobile. The storms, he said, are "getting a crew cut."
Predictions about an "active" hurricane season have dissipated like a late summer thunderstorm since last month, when hurricane Bill washed beachgoers off some rocks in Maine. Forecasters have already downgraded the season to "below-average."
Going into this hurricane season, which usually runs until November, US experts had predicted 12 named storms, with six turning into hurricanes and two becoming major. But veteran storm predictor William Gray at Colorado State University, Fort Collins pulled back those predictions last week, calling for a "below-average" season of 10 storms, including four hurricanes, two of them major.
El Nino's impact
The surprise El Ni帽o effect 鈥 a warm water system along the northwestern South American coast 鈥 has caused upper atmospheric prevailing winds (the jet stream) to shift south, weakening hurricanes by shearing off the their tops.
"It's these intense storms that come out of the deep tropics that El Ni帽o activity tends to weaken a great deal," says Professor Gray. Researchers typically can't detect the extent of El Ni帽o activity until late spring or early summer, complicating long-term hurricane predictions.
Conversely, the El Ni帽o has intensified storm activity in the Pacific, giving rise to hurricane Jimena, which threatened Mexico and California Baja last month, but weakened as it made landfall.
That's not to say El Ni帽o is always a hurricane killer. Hurricane Andrew, the third-most powerful hurricane to ever hit the US mainland, formed during an El Ni帽o year in 1992. After being nearly destroyed by westerly wind shear, Andrew found an oasis of favorable conditions in the Caribbean, building into a Category 5 storm as it took aim at Homestead, Fla.
Moreover, although the Atlantic basin didn't see any zero storms till August, the last month saw five storms 鈥 Anna, Erika, Danny, Bill and now Fred 鈥撯 develop into hurricanes.
A mild hurricane season?
Researchers say one major landfall storm is still possible this year 鈥 a worry for coastal Americans who have seen a series of devastating hurricanes in recent years. But most researchers see an early end to this year's storm activity, most likely by October.
This could be the first calm hurricane season since 1997, as a multi-decade storm trend has been building in pitch since 1995.
"[I] have to admit there have been very few Labor Days weekends where I haven't been working a storm, and this year I didn't have to," says storm forecaster Mr. Blackwell. "Something is dramatically up, and there's no doubt El Ni帽o is having an impact on a diminishing season."
--
Follow us on .
Healthcare's spending spiral
Obama's pursuit of a healthcare overhaul has put a sharper focus on a central and perplexing issue: how to control fast-rising costs. Click here for a Q-and-A on the choices ahead.
 
		
	 
		 
				