海角大神

Milkweed: Not just for monarch butterflies

Milkweed is best known for its usefulness to monarch butterflies, but it's a good plant for gardeners, too.

|
Courtesy of Karan Davis Cutler
Milkweed seed floss, sometimes called "wild cotton," once was used to stuff pillows and mattresses. Birds, including orioles and American goldfinches, use it as nesting material.
|
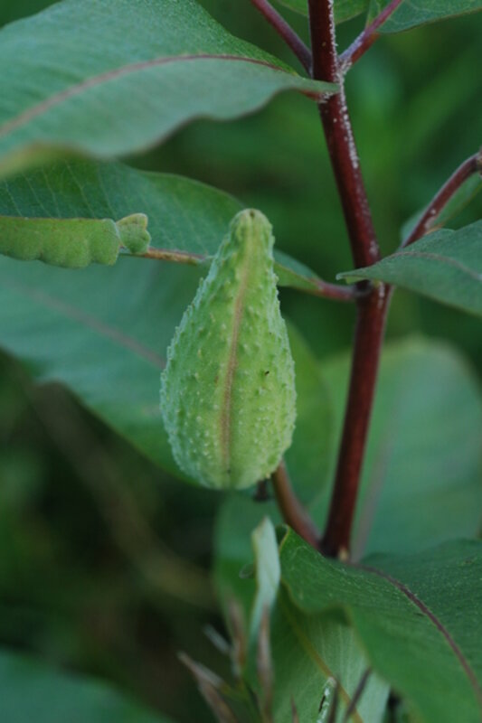
Courtesy of Karan Davis Cutler
The prickly pods of the common milkweed, like all other parts of the plant, release "milk" if damaged.

I expect the real thing before October is over, but for now it鈥檚 snowing milkweed silks at my house. They鈥檙e a great example of evolutionary design: seeds embedded in wispy hairs -- all lighter than air -- that float to new destinations where they germinate and produce the next generation of plants.

Defending a plant with 鈥渨eed鈥 in its name is tricky, but few would argue against natives such as butterfly weed, Joe-pye weed, common sneezeweed, and ironweed. Still, common milkweed may be pushing the envelope for many gardeners.

I garden in the country and welcome anything that blooms. Well, almost anything. I could do without and ).

A native plant that's long been useful

But I like the common milkweed that grows on the fringes of my yard. This North American native has a long history as an herbal cure, so it's fitting that its genus name is Asclepias, a reference to .

We鈥檝e have pretty much stopped using milkweed as a remedy for rheumatism and snake bites, and we no longer weave its silk into candle wicks or use it to for stuffing. (During World War II, schoolchildren were encouraged to collect milkweed floss to fill life jackets and 鈥渟ave the lives of sailors and airmen.鈥)

But the plant鈥檚 usefulness hasn鈥檛 ended, especially from the point of view of . In one of their life stages or another, monarchs eat its leaves, drink its nectar, lay their eggs on its leaf undersides, and attach their chrysalises to its stems. Milkweed is Monarch Mecca.

Nice in the garden, too

There鈥檚 plenty for the gardener to like, too.

No life-sustaining virtues, but umbrella-shaped clusters of highly sweet-scented flowers that vary in color, faded pink to dusky rose. And unbranched plants, 3 or 4 feet tall, that can fit nicely in the back of a perennial garden or on the edge of the lawn. There, they will produce seedpods that will explode in fall and produce the year's first "snow."

-----

Karan Davis Cutler is one of nine garden writers who blog regularly at Diggin鈥 It. She's a former magazine editor and newspaper columnist and the author of scores of garden articles and more than a dozen books, including 鈥淏urpee - The Complete Flower Gardener鈥 and 鈥淗erb Gardening for Dummies.鈥 She now struggles to garden in the unyieldingly dense clay of Addison County, Vt., on the shore of Lake Champlain, where she is working on a book about gardening to attract birds and other wildlife. To read more by Karan, click here.

You've read  of  free articles. Subscribe to continue.
QR Code to Milkweed: Not just for monarch butterflies
Read this article in
/The-Culture/Gardening/diggin-it/2010/1015/Milkweed-Not-just-for-monarch-butterflies
QR Code to Subscription page
Start your subscription today
/subscribe